Skip to Main Content
Create a Website Account
- Manage notification subscriptions, save form progress and more.
Website Sign In
Search
GOVERNMENT
RESIDENT
BUSINESS
HOW DO I?
Home
News Flash
Module Search
Enter Search Terms
All categories
News and Announcements
Tools
RSS
Categories
All Categories
News and Announcements
News Flash Home
The original item was published from 7/24/2018 2:28:44 PM to 7/26/2018 11:09:41 AM.
News Flash
Featured Events
Posted on: July 20, 2018
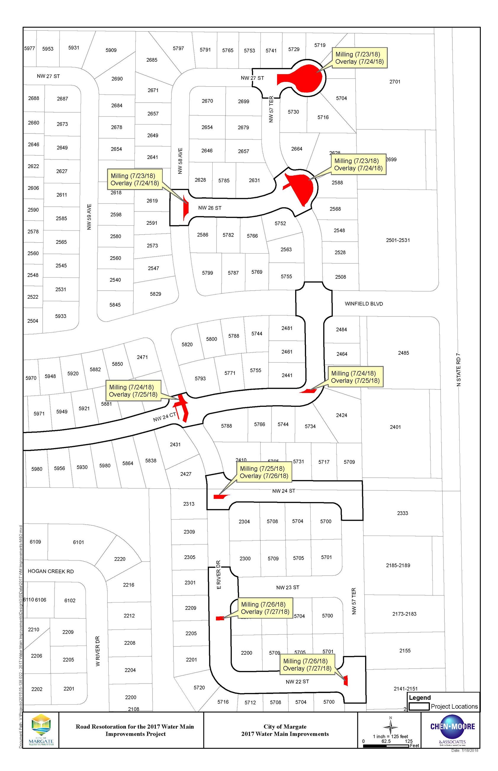
[ARCHIVED] Road Construction Update
Live Edit
AGENDAS & MINUTES
PAYMENT CENTER
SUBMIT A COMMENT
SIGN UP FOR NOTIFICATIONS
RETURN TO HOMEPAGE
EMPLOYMENT
Government Websites by
CivicPlus®
Loading
Loading
Arrow Left
Arrow Right
[]
Slideshow Left Arrow
Slideshow Right Arrow